PENDIENTES DEL TIEMPO
Redmeteo, sobre Kirk: "Si pasa cerca de la costa será un temporal más fuerte y duradero"
David Domínguez, impulsor de Redmeteo y colaborador de Aemet, sostiene que una diferencia de 100 km más al norte o al sur puede marcar la diferencia

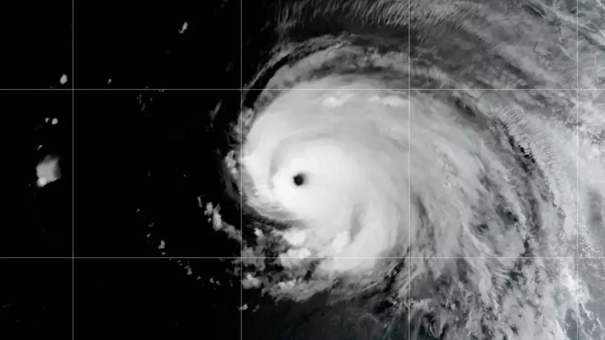
La trayectoria de la borrasca Kirk será determinante para conocer sus efectos / Aemet

David Domínguez, responsable del proyecto Redmeteo y colaborador de la Agencia Estatal de Meteorología (Aemet), apela a la prudencia que exige siempre una disciplina como la meteorología hasta conocer con exactitud la zona de impacto de 'Kirk'. La razón es que una diferencia de 100 kilómetros más al norte o más al sur, que para una borrasca no es nada, puede marcar la diferencia.
"Hay que ver esos detalles", aclara desde su estación de seguimiento de Campo Lameiro (Pontevedra). "Si el centro de la borrasca pasa por encima de A Coruña, restaría intensidad de viento en Galicia; pero si pasa cerca de A Coruña, cerca de la costa, sería un temporal más fuerte y duradero", explica. "Hay que seguirlo día a día, porque estos sistemas son complicados de predecir".
Él mismo recuerda una borrasca llamada 'Flora' en febrero de 2010, "que parecía que no iba a ser gran cosa" pero tras moverse en su trayectoria "acabó haciendo estragos en las Rías Baixas".
Es precisamente esta zona, la de las Rías Baixas, la que parece que se llevará la peor parte de 'Kirk', un huracán que alcanzó categoría 4 en medio del Atlántico pero que impactará este martes en la costa gallega convertido ya en una profunda borrasca. "En general parece que afectará más al sur de Galicia que al norte", explica David Domínguez, que pese a ello matiza que, "sin descartar nada al 100%", como ocurre siempre con el tiempo, "parece que no va a ser un nuevo 'Hortensia' ni un 'Klaus'".
Eso sí, más allá de la incógnita del viento, este experto aclara que la que sí está garantizada es la lluvia. Y mucha. "Desde hoy martes al mediodía hasta la mañana del miércoles va a llover mucho en Galicia". Y sobre mojado, porque en los últimos días ya hubo importantes acumulaciones de agua.
- Demasiado mayor para ascender, pero no para trabajar: una gallega denuncia ante la ONU un caso de edadismo en la función pública
- Una discoteca gallega se cuela entre las mejores del mundo: 'El local insignia de Galicia
- No ganó, pero esta casa de Santiago se ha colado entre las nominadas a mejor obra del año
- La joven de Santiago que inmortaliza recuerdos en resina: 'Hay encargos que empiezas con lágrimas
- El paseo de pasarelas junto al mar más bonito de Galicia está a una hora de Santiago: 'Solo escuchas las olas
- SG Monte do Gozo, la empresa que facilita vacaciones a los ganaderos gallegos: 'En el campo también hay sueldos de médico
- Sociólogos alertan: «El casco viejo de Santiago corre el riesgo de convertirse en un parque temático»
- Santiago estrena un 'take away' de cocina palestina que ya arrasa en sus primeros días

